公示时间:2025年8月13日至2025年8月22日
批前公示旨在征询公众意见,并非最终审批结果。如您对该规划项目有意见表达,请在公示期内将书面意见邮寄或送达至崇信县自然资源局(请注明“公示反馈意见”),公众意见将作为审批决策的重要参考依据。
地址:崇信县自然资源局(崇信县永丰街206号)
联系电话: 0933-6121193 0933-6124919
一、项目概况
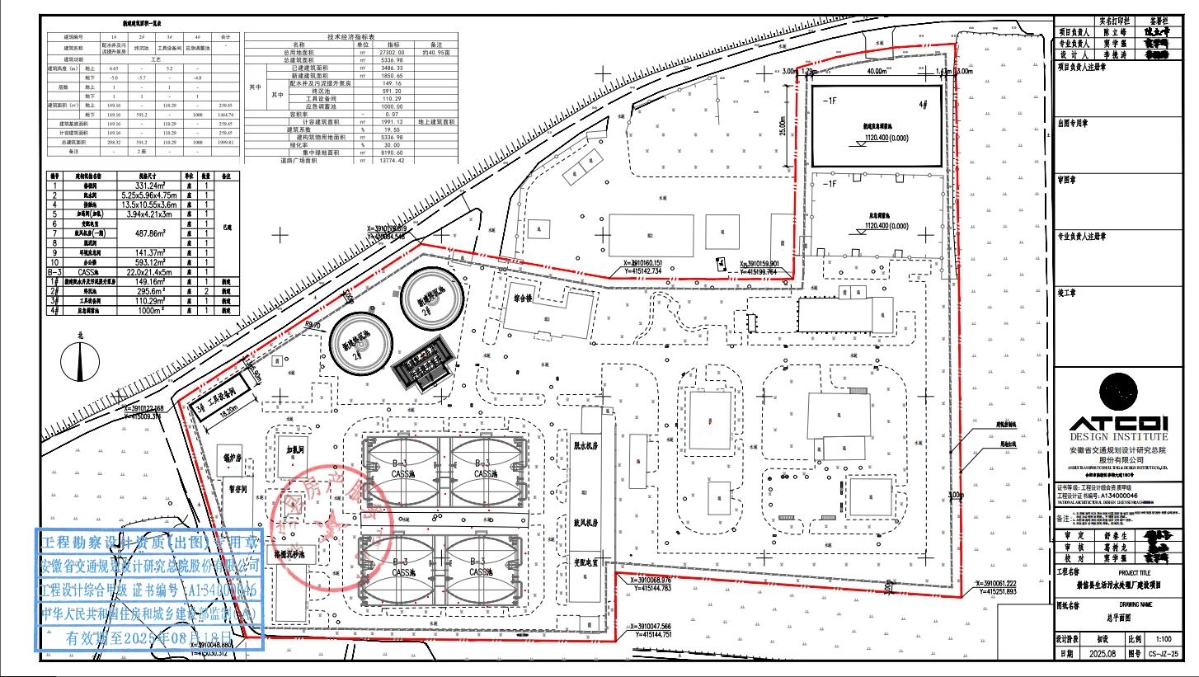
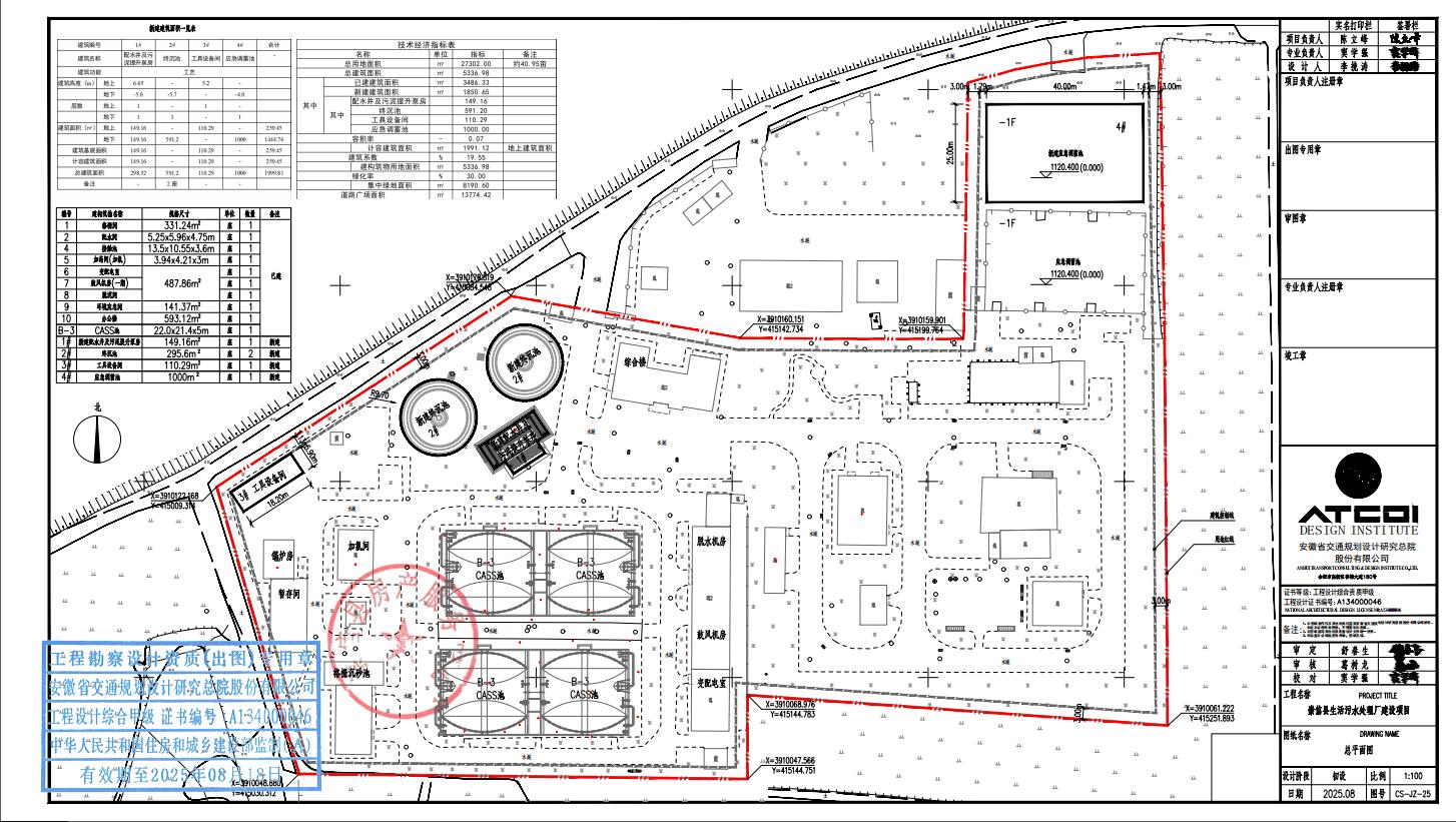
崇信县生活污水处理厂建设项目位于崇信县锦屏镇关村村。北临汭河河堤,南至农田,东至农田,西至农田。项目规划用地性质为排水用地(R21),用地面积27302㎡,容积率0.07,建筑系数19.55%,绿地率30 %。项目计划对锦屏污水处理厂进行改造,新建配水井及污泥提升泵房、终沉池、工具设备间、应急调蓄池,敷设污水管网5公里。对崇信县新窑污水处理厂进行扩容,敷设污水管网4.5公里。项目总建筑面积5336.98㎡,已建建筑面积3486.33㎡,新建建筑面积1850.65㎡,计容建筑面积1991.12㎡。
二、建设单位
崇信县房产服务中心


