公示时间:2025年9月5日至2025年9月12日
批前公示旨在征询公众意见,并非最终审批结果。如您对该规划项目有意见表达,请在公示期内将书面意见邮寄或送达至崇信县自然资源局(请注明“公示反馈意见”),公众意见将作为审批决策的重要参考依据。
地址:崇信县自然资源局(崇信县永丰街206号)
联系电话: 0933-6121193 0933-6124919
一、项目概况
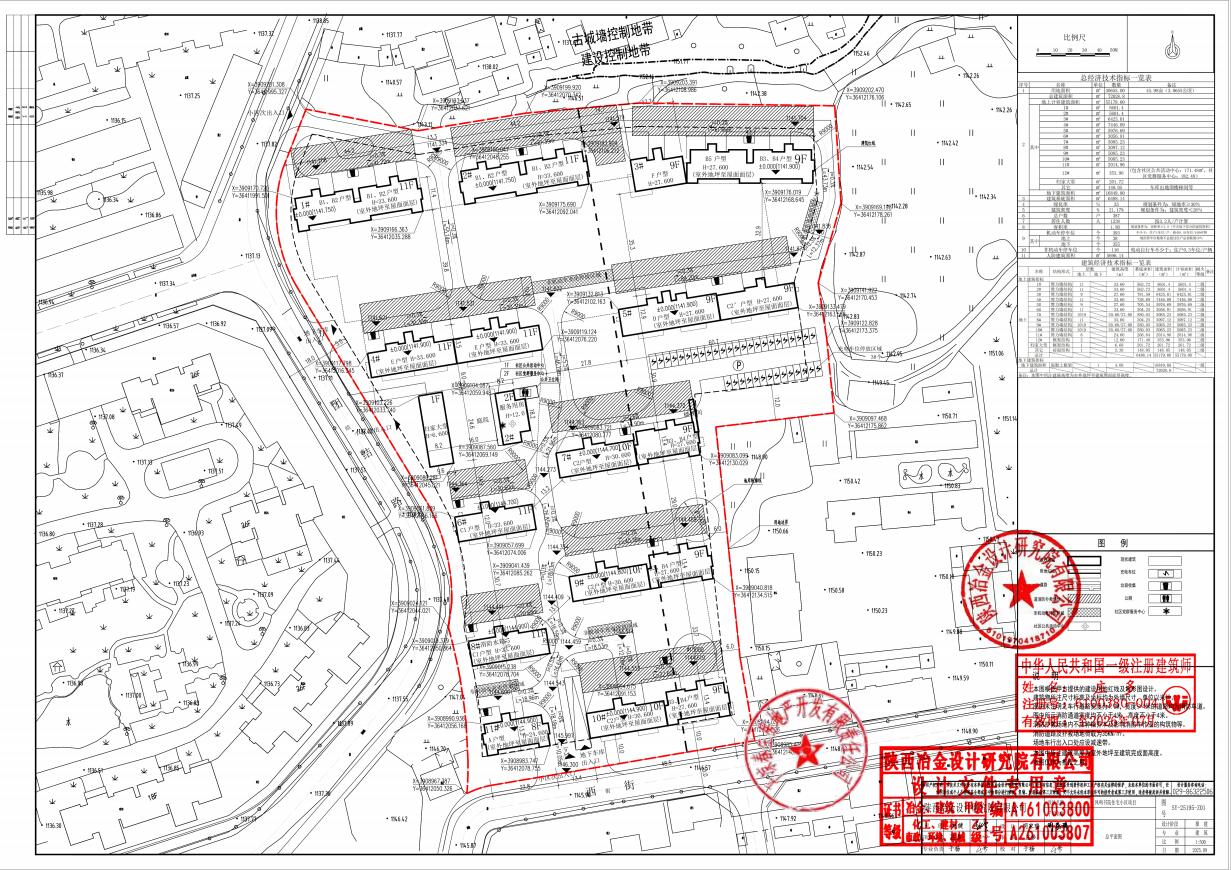
崇信县凤鸣书院住宅小区建设项目位于崇信县东区,西至西城路,东至公园绿地、第三幼儿园,南至团结路,北至公园绿地。项目规划用地性质为住宅用地(R21),用地面积30655平方米,容积率1.8,建筑密度21.17%,绿地率35 %。计划新建住宅楼11栋,其中地上1#、2#、4#、6#、8#为11层,3#、5#为9层;7#、9#、10#为10层和9层;11#为8层,12#服务用房2层,归家大堂1层,其它1层;总建筑面积72028.8㎡,其中地上55179㎡,地下16849.80㎡,总户数387户,停车位393个其中地下355个,地上38个。
二、建设单位
平凉春生房地产开发有限责任公司


