古代当官不修衙,为什么?
| 责任编辑:李晓玲 来源:甘肃纪检监察网 时间:2024年04月19日 |

【每日箴言】
衙署房屋,足蔽风雨即便安居,不必修葺。如令属官代修,尤为不可。图一己之快,而为累于人,何为也?
——清•陈道《官戒示长儿》
【深意浅说】
陈道,清乾隆进士,著名文学家、理学家。这是他写给儿子的《官戒示长儿》中的一段。
相对于后来的官员热衷于建造豪华办公大楼,古代官员对于修建衙署尤其豪华衙署,没有什么兴趣。有人认真查看了名画《清明上河图》,发现画中有各类房屋,但没有一栋官衙。还有人统计了北宋文人孟元老《东京梦华录》中的建筑,孟元老用非常细腻的笔触描绘了开封城皇宫、御街、酒楼、茶馆、商铺、食肆、大相国寺、瓦舍勾栏的热闹景象,唯独对开封府衙的描述一笔带过:“浚仪桥之西,即开封府”。
宋神宗熙宁四年(1071年),苏轼前往杭州担任通判一职,他面对的官衙“风雨腐坏,日就颓毁”。十几年后,即宋哲宗元祐四年(1089年),苏轼升任杭州“一把手”。破败的官署已经成为危房,当年六月内使院屋倒,压伤手分书手二人;八月内鼓角楼摧,压死鼓角匠一家四口,内有孕妇一人。“不惟官吏家属,日负忧恐,至于吏卒往来,无不狼顾。”苏轼不得不写下《乞赐度牒修廨宇状》,请求朝廷同意修缮衙门。
苏轼并没有申请朝廷拨款修葺官署,而是请求拨二百道度牒修官署。度牒是官方给出家僧尼颁发的证书。在古代中国,每个人必须给朝廷服役,服役负担往往超过税收负担。而僧尼是不用给朝廷服役的。所以,很多人就通过出家规避服役。而政府看到出售度牒筹集财政资金的功能,就大肆发行度牒筹集资金。苏轼于是申请朝廷给他200道度牒,通过出售度牒筹集修葺官署的经费。
古代官员不热衷修理衙门,一个原因是官员流动比较快,所谓“官如传舍”,当官就像住旅店一样,只是匆匆过客,衙署好坏又有什么关系呢?另有一种说法,一个人热衷修衙,很可能就升迁无望了。而且宋朝开始,朝廷对于官员修葺修建衙署的管理也收紧了。宋真宗景德三年,杭州知州薛映被人告发“在司擅增修廨宇”,薛知州被贬为“连州文学”——一个小地方的闲职。宋仁宗嘉祐三年,汝州知州李寿朋在春荒时节“令郡人献材木,修廨宇亭榭,重为劳扰”,也被御史弹劾,受到降职处分。
明清时期官衙很简陋。明朝万历年间,北京宛平县知县沈榜在《宛署杂记》中描述,宛平县虽然是京畿首县,但县衙却非常简陋:“廨仅一所,与民间比屋,曲直不齐,各佐领衙与市民联墙,声音可通。吏大半无廨地,僦借民居。顾不知创自何时,何所迁就,而因陋就简,粗备如此也。”
官不修衙的关键因素是朝廷严格控制修建官署的资金。地方官员如果要修理衙门,基本指望不上朝廷的财政支持。他只有另寻出路,一种是向地方富人寻求捐助。但是地方富户士绅捐助往往也是有条件的,而且,遇到这种捐助的时候,官员自己首先得带头捐出一大笔钱。所以,不到万不得已,官员不会去向部民寻求捐款。
如果官府有大量陋规之类收入,财力雄厚,也可以自己解决修建经费。问题是,明清衙门都是大包干,陋规等额外收入,用于上下打点,剩下的就是作为承包人的长官和团队的。官员宁可把剩下的装到自己腰包,也不可能用于修建衙署,这差不多也是人之常情。
(梁发芾)
【人间草木】

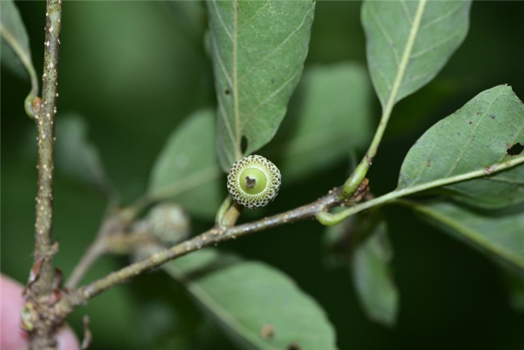
名称:枹栎
分布:陇南、天水
简介:枹栎,落叶乔木。花期3-4月,果期9-10月。木材坚硬,可作建筑、车辆等用材。种子富含淀粉,可酿酒、制作饮料。树皮可提取栲胶,叶可饲养柞蚕。
(植物资料由西北师范大学白增福、陈学林提供)
上一篇: 莫让土特产变了味
下一篇: 精减文件,为基层减负松绑